News

Search for Shackleton's ship uncovers hidden nest network

  • Date

    Wed 29 Oct 25

Four penguins on an ice shelf in front of an iceberg

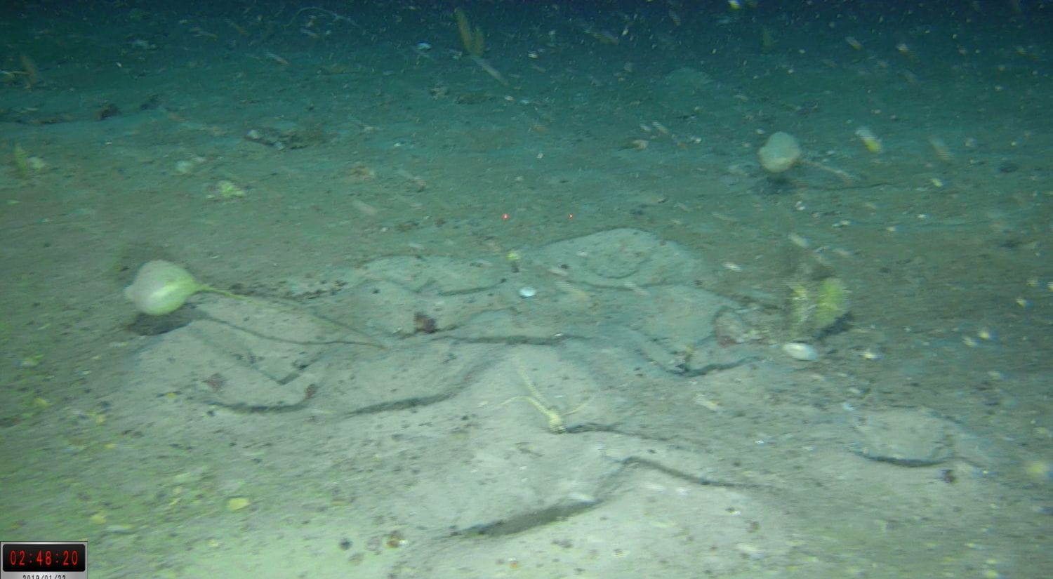
The search for legendary explorer Ernest Shackleton’s ship uncovered another treasure of the deep, a hidden network of geometric Antarctic fish nests on the seafloor.

More than 1,000 intricate homes were uncovered in the Western Weddell Sea for the first time and have been analysed by experts from the University of Essex.

The remote site only became accessible after an iceberg the size of Luxembourg sheared off in 2017, revealing previously unreachable seabed.

The discovery has strengthened calls to designate the 2.8 million square kilometre Weddell Sea as a protected area, home to penguins, killer whales and leopard seals.

Russ Connelly, from the University’s School of Life Sciences, analysed hours of footage collected by an autonomous underwater vehicle in 2019 during the Flotilla Foundation-funded search for Shackleton’s iconic ship Endurance.

Explore the nests in the gallery below - credit Flotilla Foundation / Eclipse / Weddell Sea Expedition 2019

The steamship wreck was discovered in 2022, with Mr Connelly painstakingly reviewing footage from the earlier mission.

He identified nesting patterns for 1,036 icefishes, also known as yellowfin notie, which can grow up to 20cm in length.

Mr Connelly said: “This discovery offers a glimpse into the complex lives of these fish.

“We've identified intricate nesting patterns that we believe are created as a defence against predators, a significant departure from previously discovered colonies driven by environmental factors.

“These findings provide further critical evidence for the ecological importance of the Weddell Sea and substantially strengthen the case for the Weddell Sea Marine Protected Area, which could become the largest Marine Protected Area on Earth.”

See the beauty of Antarctica in the gallery below - pictures by Dr Michelle Taylor 

The paper, published in Frontiers in Marine Science, details six different nest types: the ‘cluster’, ‘crescent’, ‘line’, ‘oval’, ‘sharp-U’, and ‘singular’.

Scientists believe the remarkable organisation may be a survival strategy that supports the "selfish herd" theory, where weaker individuals shelter in the centre and are shielded by stronger neighbours.

Mr Connelly said: “The geometric nature of these nesting sites is astonishing, we catalogued six distinct patterns, ranging from dense clusters to crescents and lines.

“It suggests a remarkable level of communal behaviour, where the colony as a whole enhances the survival chances of the next generation.”

The discovery is being announced as the Convention for the Conservation of Antarctic Marine Living Resources meets.

It provides evidence that this area of the Weddell Sea contains a Vulnerable Marine Ecosystem, a unique and fragile habitat that is crucial for biodiversity.

Mr Connelly added: “Protecting this area means safeguarding not just the iconic penguins and seals, but also these hidden nurseries that form part of the Antarctic food web.

“These underwater environments are a powerful reminder that even in the planet's most extreme conditions, life finds a way to build complex, resilient communities.”